|
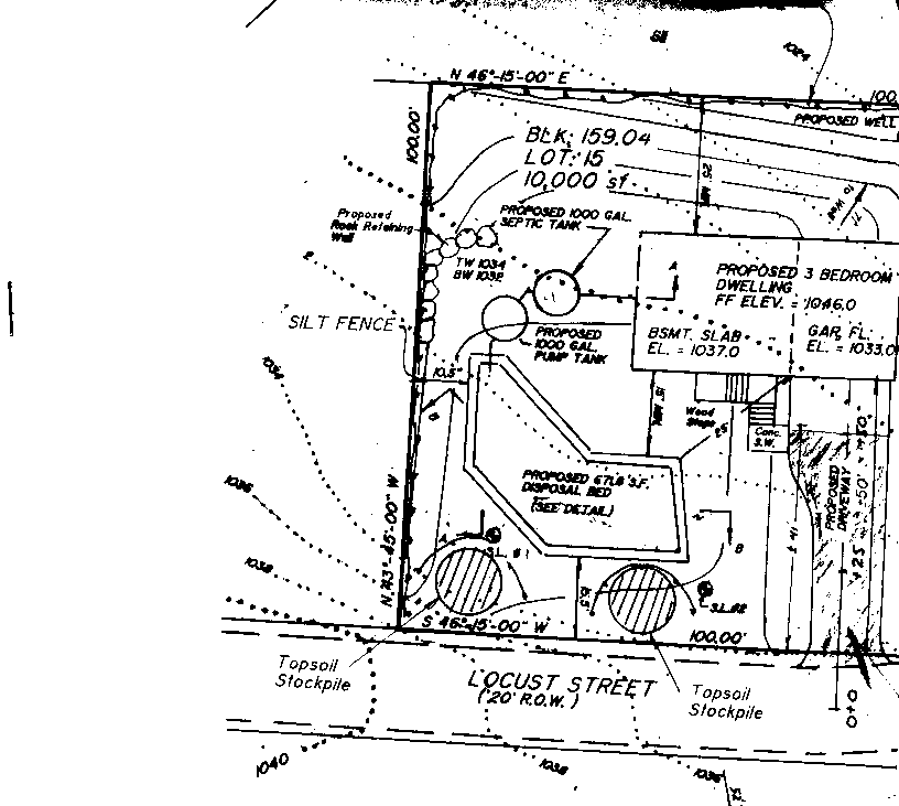
| 6 Locust,
Highland Lakes, NJ 07422, ( Vernon Township),
a 100
foot by
100 foot lot
(approximately), this to be built Bi-level, if
approved, will be built in Vernon. It will have
a first floor of 1258 sq. feet finished with 3 Bedrooms and 2 full
baths. One Bath will be a Master bath. Under the home will be
a completely sheet rocked 2 car garage and an unfinished family room.
All of this is subject to perk test and other approval.
Near or bordering hundreds of acres of State Park Lands. |
 |
 |
 |
| Top Of Page
Designs By John, Inc. Home Page |
- Email designsjohn1952@GMAIL.COM
Telephone
- 973-670-6767
-
- Postal address
- P O Box 75, McAfee, New Jersey, 07428
- Corporate address email me at:designsjohn1952@gmail.com
All properties
offered on this web site are offered by John T. Cerutti is a licensed
realtor in NJ.
-
Designs by John, Inc. homes, specifications, prices and all aspects
of the information on this web site are
subject to change without notice.
Errors and omissions are not the responsibility of Designs by John,
Inc.
-
or John Cerutti.
In addition the local municipality may change any and all plans to conform to
the land use and
building codes in effect. The use of our custom builders contract
will enable communication of any and
all details and specifications. Greater
than 1
Exterior stairs and all
decks are not included in this offer.
All
garages when included are under the home, attached garages and lower level
"I" (eye) beams are an extra
cost.
-
Design by John, Inc. homes do not include options
such as shrubs,
bay
window, brick work or any other
-
option pictured
or
featured but not
offered with the " standard (heritage) " modular home.
John T. Cerutti
-
possesses a real
estate license in New Jersey. This company may offer properties
for sale
for which it is the contractual owner.
You may purchase a web site of approximately this size
and style for
$ 1 500.00*. Comments, ?'s, Contact: designsjohn1952@GMAIL.COM
Pages Maintained by CRCreations, E-mail:CRCreations
or Call 973-702-1619. Copyright (c) 1999 Designs By John, Inc.
You may see other Web Sites created by CrCreation.Com *contract required for this special offer. SSL is not included in
this offer.
| | |
| | |